
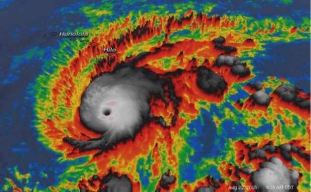
На Гаваї насувається ураган "Лейн", який може початися на островах сьогодні, 23 серпня, і супроводжуватися вітрами, що перевищують 100 миль в годину (161 км/год).
Про це повідомляє AP з посиланням на Національну службу погоди.
Як повідомляють метеорологи, шторм категорії 4 може початися на островах у четвер з вітрами, що перевищують 100 миль в годину (161 км/год).

Ураган "Лейн"
"Це може стати найсильнішим штормом, який сталися на Гаваях з часів урагану "Інікі" в 1992 році", – йдеться в повідомленні.
My jaunt through the bread and water aisles at my local neighborhood #Safeway #nowater #nobread #hurricanelane #staysafehawaii #hawaiiweather #prehurricaneproblems
Допис, поширений Miss Momona (@my_fairy_grubmother)
Також зазначається, що небезпека полягає в тому, що через стихію можуть закритися порти і товари першої необхідності не зможуть бути відправлені на острови. Жителів штату прислухатися до влади і їх рекомендацій.
24.ua
На Гаваї насувається ураган "Лейн", який може початися на островах сьогодні, 23 серпня, і супроводжуватися вітрами, що перевищують 100 миль в годину (161 км/год).
Про це повідомляє AP з посиланням на Національну службу погоди.
Як повідомляють метеорологи, шторм категорії 4 може початися на островах у четвер з вітрами, що перевищують 100 миль в годину (161 км/год).
Ураган "Лейн"
"Це може стати найсильнішим штормом, який сталися на Гаваях з часів урагану "Інікі" в 1992 році", – йдеться в повідомленні.
My jaunt through the bread and water aisles at my local neighborhood #Safeway #nowater #nobread #hurricanelane #staysafehawaii #hawaiiweather #prehurricaneproblems
Допис, поширений Miss Momona (@my_fairy_grubmother) 22 Сер 2018 р. о 3:08 PDT
Також зазначається, що небезпека полягає в тому, що через стихію можуть закритися порти і товари першої необхідності не зможуть бути відправлені на острови. Жителів штату прислухатися до влади і їх рекомендацій.
24.ua
Українцям перерахували пенсії по інвалідності 3 групи: хто з 1 травня отримає більше
Як виростити ідеальні огірки: Поради та секрети